交通事故で尿道が破壊され、尿道転移術を行った子猫
今回は、車に轢かれて骨盤を折ってしまい、それだけなら良かったのですが、さらに尿道が破壊されておしっこが出なくなった子猫の症例について報告します。
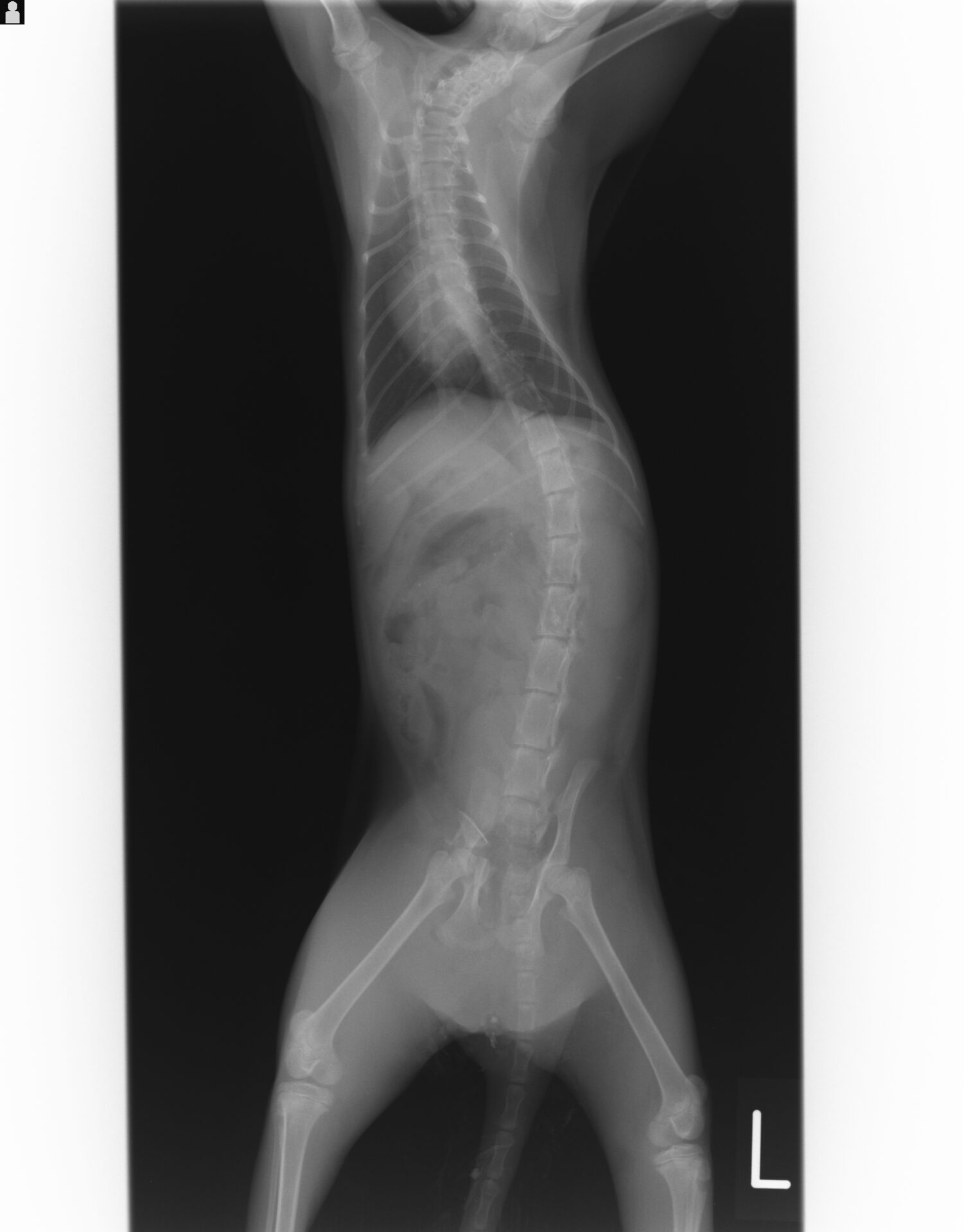
ある朝、前夜に夜間救急動物病院に連れて行ったという野良の子猫が連れて来られました。夜間救急で撮影したレントゲン写真を見ますと膀胱などの内臓や、手足の骨には異常はありませんでしたが、
骨盤が骨折し、股関節を脱臼していました。また股関節の辺りの皮膚が裂けており、夜間救急で縫合されていました。
当然、動くことができなくて、ショックと痛みのせいで食欲もないとのことでしたので、入院して点滴を始めました。骨盤の方は安静にしていれば、子猫ですので、家ネコとしてなら普通に生活できると判断し、手術しないことにしました。
しかし、半日ほどすると、太ももの辺りがパンパンに腫れてきて、一部怪我をして裂けている皮膚から液体が流れ出てきました。もしかしてと思い、尿道からカテーテルを入れて、造影剤を流し込んだ
ところ、造影剤が膀胱に入らずに周りの組織に散らばってしまいました。
白いものが造影剤です。正常であれば、尿道と膀胱だけに造影剤が満たされて白くなるだけです。
これは、車に轢かれた時に尿道周囲の組織が破壊され、その時に尿道の構造も壊れてしまったものと思われます。
このまま尿が出なければ、尿が全身に廻って、やがては亡くなってしまいます。しかし幸いにも、尿道カテーテルから尿が出てきて、徐々に腫れが引いてきました。このままカテーテルを設置して、その周りに尿道が再構築されれば問題ないのですが・・・・。
しかし、期待したようにはいかず、カテーテル設置後1日で尿は出なくなり、再び足が腫れ、食欲がなくなって来ました。これは、もう手術するしかありません。
その日の夜に即手術することにしました。手術はかなりたいへんでした。
おしっこは、腎臓で作られて尿管を通って膀胱にたまります。溜まったおしっこは膀胱から尿道を通って体の外に出ます。この子猫の場合、尿道が破壊されていますので、膀胱の出口を体の外に出すように移動させないとなりません。
この子猫に関しては損傷のない尿道で切断し、その口をお腹の筋肉を切除して作った穴に縫い付けました。術後、写真などは撮っていませんでしたので、載せることはできませんが、その後、半年くらいして膀胱結石ができた時に撮ったレントゲン写真をお見せします。
上の写真で、下腹部にある丸い風船状のものが膀胱で、結石がその真ん中にあります。風船の口は普通、骨盤の方に繋がっていますが、お腹の壁に繋がっているのがわかると思います。下の写真がその穴にカテーテルの管を入れたところです。そこからおしっこが出ます。おしっこは普通に出すことは
できます。普通の猫ちゃんと変わらず、おしっこを溜めて尿意を催し、排尿します。
しかし、どうしても尿道が短いので、菌が入りやすく、結果、膀胱炎になりやすいために、結石ができやすくなるのが欠点です。結石ができにくくなるフードも食べていますが、それでも出来てきます。しかし、あのまま放っておくと確実に死んでしまっていたので背に腹は替えられません。
この子の場合は野良だったので仕方ありませんが、飼い猫の場合は交通事故に遭わないように絶対に家から出さないようにお願いします。
NEW
-
query_builder 2025/12/12
-
爪切りは完全予約制です
query_builder 2025/11/23 -
2025年 犬の健康診断キャンペーン
query_builder 2025/11/11 -
2025年秋 猫ちゃんの健康診断キャンペーンのお知らせ
query_builder 2025/09/26 -
診察時間変更のお知らせ
query_builder 2025/07/31
CATEGORY
ARCHIVE
- 2025/121
- 2025/112
- 2025/091
- 2025/072
- 2024/103
- 2024/061
- 2024/031
- 2024/021
- 2023/121
- 2023/091
- 2023/071
- 2023/051
- 2023/042
- 2022/121
- 2022/081
- 2022/071
- 2022/031
- 2022/022
- 2021/111
- 2021/081
- 2021/075
- 2019/121
- 2019/071
- 2018/061
- 2018/051
- 2018/011
- 2017/111
- 2017/101
- 2017/091
- 2017/021
- 2016/121
- 2016/071
- 2016/052
- 2016/031
- 2016/012
- 2015/121
- 2015/111
- 2015/102
- 2015/082
- 2015/072
- 2015/041
- 2014/101
- 2014/081
- 2014/055