子猫の里親募集
query_builder
2026/02/03
こんにちは、フジタどうぶつ病院です。
久しぶりの症例報告となってしまいました。
今回は膀胱結石です。
症例は7歳のシーズー(♀)です。
以前から血尿がずっと続いているということで来院されました。
尿検査を行ったところ、血液とタンパク質が出ているだけでした。
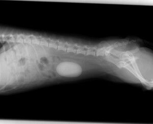
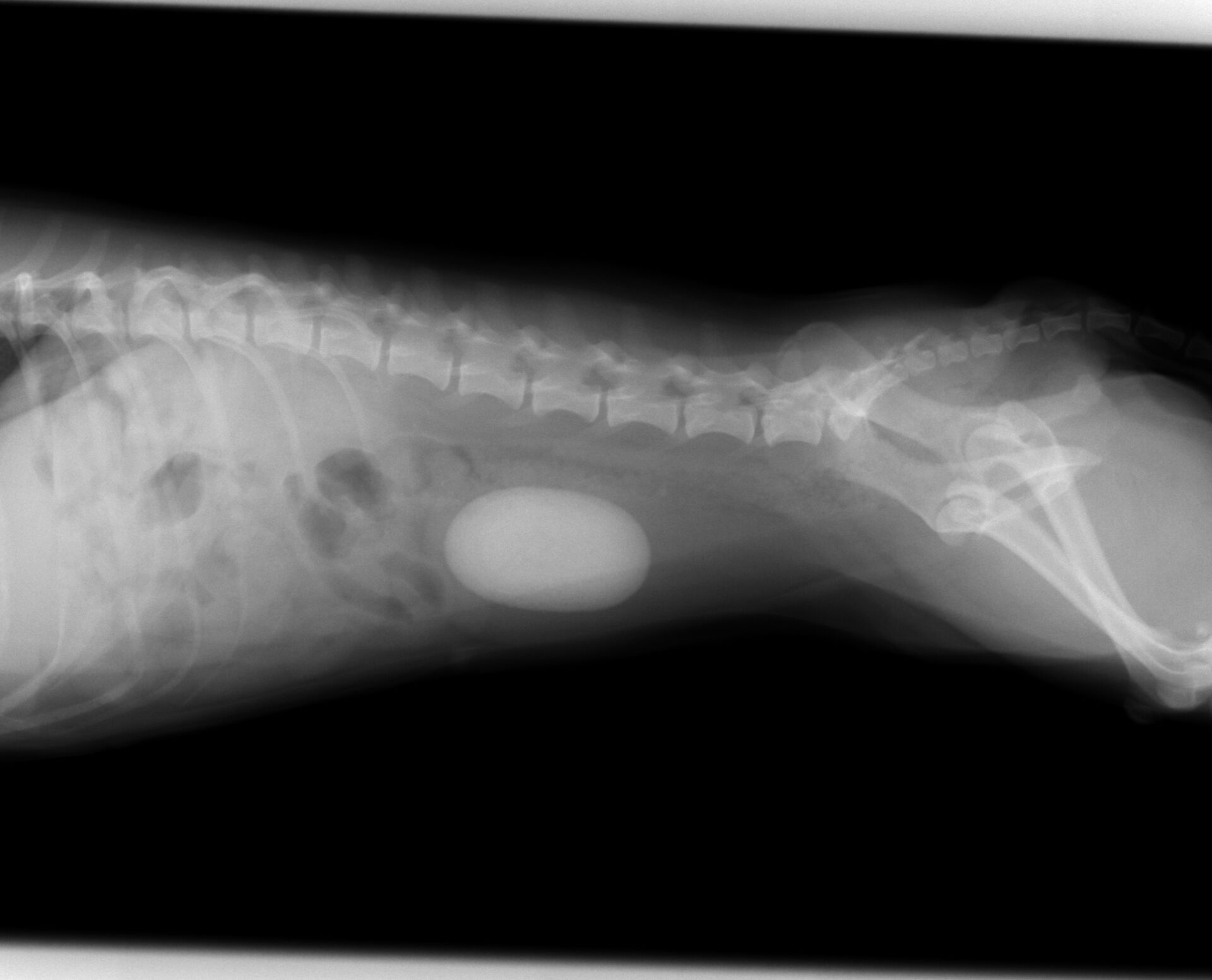
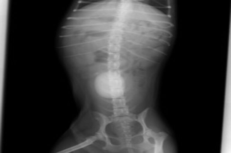
下腹部を圧迫したところ、何か硬い大きな丸いものが手に触れたので、
膀胱結石に間違いないと判断し、レントゲンを撮りました。
それが下の写真です。かなり大きな膀胱結石が存在していました。
ここまで大きくなってしまうと膀胱切開して取り出すしかありません。
手術が必要です。血液検査、心電図で問題がありませんでしたので、
次の日に手術を行いました。取り出した結石が下の写真です。
これまで取り出した結石の中で最大でした。
成分解析した結果、シュウ酸カルシウムという種類の結石でした。
体質的にこの石ができやすい可能性があるので、予防をしないと
またすぐにでも同じような結石が出来る可能性があります。
この結石を予防するためにフードを変えました。3か月経ちましたが、
順調に過ごしています。
慢性の血尿を放っておくと結石が出来て手術をしないといけなくなることがあります。血尿が出たら早めに動物病院を受診しましょう。
|
|
06-6699-1155 9:30 〜 19:30
|
|
local_phone TEL |
contact_mail お問い合わせ |
スマホ決済がご利用頂けます。
ご希望の決済方法をお選びください。
キャッシュレス決済がご利用頂けます。
お支払い方法は各サービスのご利用方法に準じます。
※ご新規で電子決済サービスをご希望の方はアプリケーションストアよりダウンロードしてください。
| 診療時間 | 月 | 火 | 水 | 木 | 金 | 土 | 日/祝 |
|---|---|---|---|---|---|---|---|
| ◎午前診療9:30~12:30 | ● |
● |
休 |
● |
● |
● |
10:00~13:00 |
| ◎手術・往診12:30~16:30 | ● |
● |
休 |
● |
● |
● |
|
| ◎午後診療16:30~19:30 | ● |
● |
休 |
● |
● |
● |
16:00~19:00 |