【サニメド価格改定のお知らせ】
query_builder
2025/12/12
こんにちは、フジタどうぶつ病院です。
久しぶりの症例報告となってしまいました。症例はどんどん増えていますので
出来る限り報告していきます。
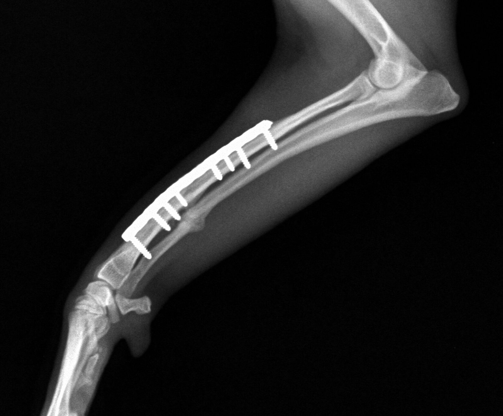
今回は1歳の柴犬の骨折治療です。お子さんが抱っこしていて降ろす際に
着地に失敗して右橈尺骨を骨折してしまいました。
その夜、プレートにて内固定を行い、翌々日には外固定をして退院しました。
その後しばらくは痛がっていたみたいですが、10日後の抜糸時には外固定を
外しても普通に歩いていました。
2か月後、レントゲン撮影を行い、骨折線が消えていたのでプレートを外して
治療終了しました。今では何の問題もなく元気にしています。
骨折は超小型犬に多いですが、柴犬のような中型犬でも落ち方によっては
骨折してしまいますので、注意してください。
2か月後、
|
|
06-6699-1155 9:30 〜 19:30
|
|
local_phone TEL |
contact_mail お問い合わせ |
スマホ決済がご利用頂けます。
ご希望の決済方法をお選びください。
キャッシュレス決済がご利用頂けます。
お支払い方法は各サービスのご利用方法に準じます。
※ご新規で電子決済サービスをご希望の方はアプリケーションストアよりダウンロードしてください。
| 診療時間 | 月 | 火 | 水 | 木 | 金 | 土 | 日/祝 |
|---|---|---|---|---|---|---|---|
| ◎午前診療9:30~12:30 | ● |
● |
休 |
● |
● |
● |
10:00~13:00 |
| ◎手術・往診12:30~16:30 | ● |
● |
休 |
● |
● |
● |
|
| ◎午後診療16:30~19:30 | ● |
● |
休 |
● |
● |
● |
16:00~19:00 |